Available
€ {{ product.price.replace(/\B(?=(\d{4})+(?!\d))/g, ".") }} {{ __(product.price_condition) }}
Photo’s
{{ product.images.length }}
Floorplan
{{ product.plans.length }}
360° photo’s {{ product.panoramas.length }}
Video’s {{ product.videos.length }}
Maps
All media
House for sale Breeërsteenweg 242 Kinrooi
€ {{ product.price.replace(/\B(?=(\d{4})+(?!\d))/g, ".") }} {{ __(product.price_condition) }}
Available
Description
Uitzonderlijk mooie villa op een perceel van 2114m2.
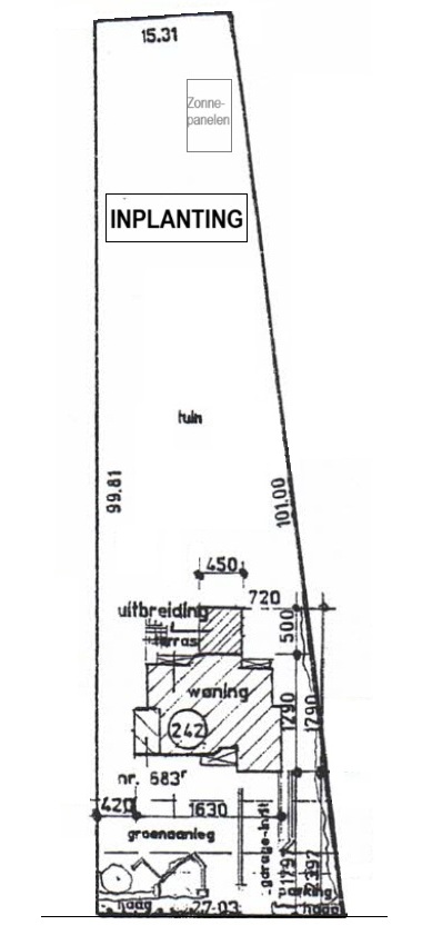
Ontdek deze prachtige luxe woning, gelegen op een uitzonderlijk groot perceel van 2.114 M² in een groene en rustige omgeving, grenzend aan de achterliggende akkers. Deze woning combineert elegantie en comfort met een gevarieerd ontwerp in gevels en tuin, waardoor een unieke uitstraling ontstaat.
Achter de gevels wordt u verwend met een uitzonderlijk luxueus interieur, waaronder een prachtige keuken, verborgen T.V.-scherm, gashaard, massieve parket, tegelvloer en waterbestendig tapijt. De afwerking is van een superieure kwaliteit, met inbouwkasten en hoogwaardige materialen die zorgen voor een warme en stijlvolle sfeer.
De woning beschikt over grote raampartijen die via schuiframen verbonden zijn met de terrassen en een schitterend uitzicht bieden op de tuin.
Er zijn vier ruime slaapkamers, waarvan één met dressing, en twee moderne badkamers. De kelder is afgewerkt volgens de normen van een leefruimte, waardoor extra gebruiksruimte ontstaat.
De elektrische toegangspoort en garagepoort met afstandsbediening bieden praktisch gebruiksgemak bij het in- en uitrijden van voertuigen naar de inpandige garage, de parkeerplaatsen en de carport.
Voorzien van alle hedendaagse technieken zoals ventilatie, verwarming, airco en zonnepanelen, is deze woning voorbereid op de toekomst. Een unieke kans voor wie op zoek is naar een exclusieve woning die comfort, luxe en duurzaamheid perfect combineert te midden van een groene oase!
Extra's:
- Ruime terrassen
- Alarminstallatie
- Airco
- Regeninstallatie
- Tuin bereikbaar langs achter
- Gebakken kleiklinkers in de inrit
- Zonne panelen met groene stroomcertificaten
Wenst u te genieten van luxe, wonen met uw gezin al dan niet gecombineerd met werken, aarzel dan niet om een bezoek ter plaatse in te plannen en neem contact op via:
- e-mail: jos@klapsvastgoed.be
- telefonisch: +32 (0)472 855 380
Ontdek deze prachtige luxe woning, gelegen op een uitzonderlijk groot perceel van 2.114 M² in een groene en rustige omgeving, grenzend aan de achterliggende akkers. Deze woning combineert elegantie en comfort met een gevarieerd ontwerp in gevels en tuin, waardoor een unieke uitstraling ontstaat.
Achter de gevels wordt u verwend met een uitzonderlijk luxueus interieur, waaronder een prachtige keuken, verborgen T.V.-scherm, gashaard, massieve parket, tegelvloer en waterbestendig tapijt. De afwerking is van een superieure kwaliteit, met inbouwkasten en hoogwaardige materialen die zorgen voor een warme en stijlvolle sfeer.
De woning beschikt over grote raampartijen die via schuiframen verbonden zijn met de terrassen en een schitterend uitzicht bieden op de tuin.
Er zijn vier ruime slaapkamers, waarvan één met dressing, en twee moderne badkamers. De kelder is afgewerkt volgens de normen van een leefruimte, waardoor extra gebruiksruimte ontstaat.
De elektrische toegangspoort en garagepoort met afstandsbediening bieden praktisch gebruiksgemak bij het in- en uitrijden van voertuigen naar de inpandige garage, de parkeerplaatsen en de carport.
Voorzien van alle hedendaagse technieken zoals ventilatie, verwarming, airco en zonnepanelen, is deze woning voorbereid op de toekomst. Een unieke kans voor wie op zoek is naar een exclusieve woning die comfort, luxe en duurzaamheid perfect combineert te midden van een groene oase!
Extra's:
- Ruime terrassen
- Alarminstallatie
- Airco
- Regeninstallatie
- Tuin bereikbaar langs achter
- Gebakken kleiklinkers in de inrit
- Zonne panelen met groene stroomcertificaten
Wenst u te genieten van luxe, wonen met uw gezin al dan niet gecombineerd met werken, aarzel dan niet om een bezoek ter plaatse in te plannen en neem contact op via:
- e-mail: jos@klapsvastgoed.be
- telefonisch: +32 (0)472 855 380
+ Read more
- Read less
Construction: {{
product.build_year }}
Construction: {{ product.build_period.start }} -
{{ product.build_period.end }}
House
, Villa
{{ product.rooms }} rooms
{{ product.bedrooms
}} bedrooms
Living space: {{
product.living_space }} m²
Plot: {{
product.plot_surface }} m²
Energy class: {{ product.energy_class }}
Energy index: {{ product.energy_index }}
Characteristics
{{ field.label }}
{{ field.value }}
+ Read more
{{ field.label }}
{{ field.value }}
- Read less
{{ product.company.name }}
Contact us
{{ product.company.phone.replace('-', ' ').substr(0, 7) }}...
{{ product.company.phone.replace('-', ' ') }}
Share:
Date